Practice listening to the ATIS below. Your goal is to identify the likely departure runway and anticipate the taxi instructions Ground Control may issue.
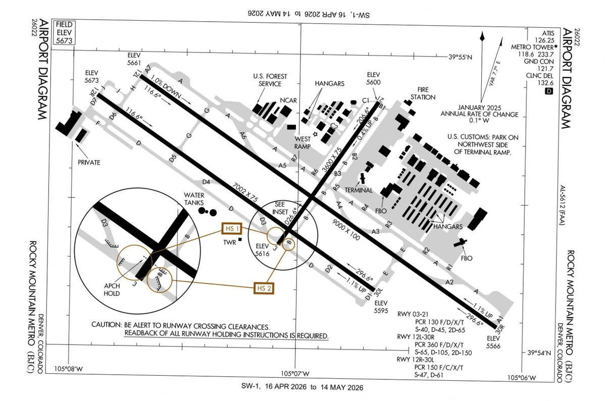
Here is a map of the airport for reference. Imagine you are parked at your flight school’s ramp adjacent to the fire station, with direct access to Taxiway Bravo.

So mentally, you should be thinking:
- “I’m on Bravo already or very close to it”
- “Runways 12L/12R are active”
- “I’ll probably be sent toward the approach ends of 12L or 12R”
👉Therefore, likely taxi instructions could sound like: "Taxi to Runway 12R via Bravo, Alpha, cross Runway 21."
Notice how we included permission to cross runway two one, as runway crossings are always explicit, and controllers don’t rely on “implied” crossings even if it happens immediately after a turn.
Below is a visual reprentation of what the expected taxi route would be:


